Если цена в объявлении изменится, мы сразу сообщим вам об этом на электронную почту.
Нажимая «Подписаться», вы соглашаетесь с правилами.
продам земельный участок, Великая Нива890 000 ₽
28 июня 2025
Дата публикации объявления
Обн. 6 ноя
Дата обновления объявления
1060 ₽/сотку
Параметры
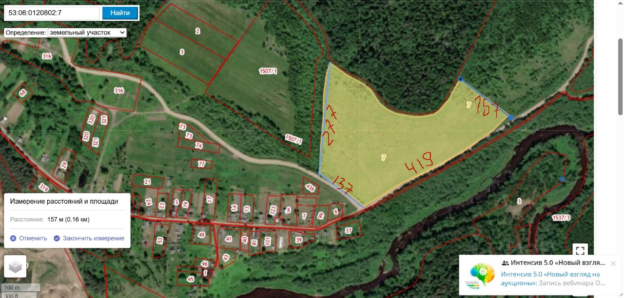
Площадь участка840 соток
Канализациянет
Воданет
УНИКАЛЬНЫЙ УЧАСТОК 8,4 Га В СЕРДЦЕ ПРИРОДЫ Великая Нива, Новгородская область Ваш шанс построить настоящую усадьбу мечты на берегу реки Волма! Представьте: утро начинается с пения птиц, над рекой поднимается лёгкий туман, а вы — на собственном участке площадью 8,4 Га, окружённом лесом, наполненным грибами, ягодами и чистейшим воздухом. До реки Мста 2 км. Идеальное место для родового поместья или фермерского хозяйства (КФХ) Земли сельхозназначения — можно построить жилой дом до 400 кв.
УНИКАЛЬНЫЙ УЧАСТОК 8,4 Га В СЕРДЦЕ ПРИРОДЫ Великая Нива, Новгородская область Ваш шанс построить настоящую усадьбу мечты на берегу реки Волма! Представьте: утро начинается с пения птиц, над рекой поднимается лёгкий туман, а вы — на собственном участке площадью 8,4 Га, окружённом лесом, наполненным грибами, ягодами и чистейшим воздухом. До реки Мста 2 км. Идеальное место для родового поместья или фермерского хозяйства (КФХ) Земли сельхозназначения — можно построить жилой дом до 400 кв.м Электричество по границе Река в 100 метрах, но участок на возвышенности — никакого риска затопления Соседи живут круглый год — комфорт и безопасность Богатейшая природа: •Рыбалка в реке и озёрах •Грибы и ягоды в сезон •Охота на кабана и другую дичь •Отличный подъезд — круглогодичный доступ, дороги чистят Вы можете официально оформить КФХ по простой форме Р21001 — и начать жить на земле, как вы давно мечтали. Закон 74-ФЗ позволяет построить жилой дом прямо на этом участке! В деревне есть магазин, почта, медпункт. Вся остальная инфраструктура — в 30 минутах езды (рабочий посёлок Крестцы, трасса М10). Ровно посередине между Великим Новгородом и Валдаем — 90 км до каждого города. ЗДЕСЬ — ТИШИНА, СВОБОДА И НАСТОЯЩАЯ ПРИРОДА Если вы ищете место для нового начала, гармонии и вдохновения — этот участок для вас. Один собственник, документы готовы к сделке. Участок размежеван. Не упустите момент — участки с таким расположением появляются крайне редко! Звоните — расскажу всё подробно и помогу с оформлением КФХ! 58.45910396, 32.46605095 -Координаты для навигатора , для самостоятельного осмотра. КН участка 53:06:0120802:7